ハダカホオズキ

ハダカホオズキ (ナス科ハダカホオズキ属)【裸酸漿】
Tubocapsicum anomalum

ハダカホオズキ

2024/09/23 野川公園

他の多くのホオズキのような袋に包まれておらず、実がむき出しで生るので「裸」ホオズキ。

本州以南から東南アジアまで分布します。

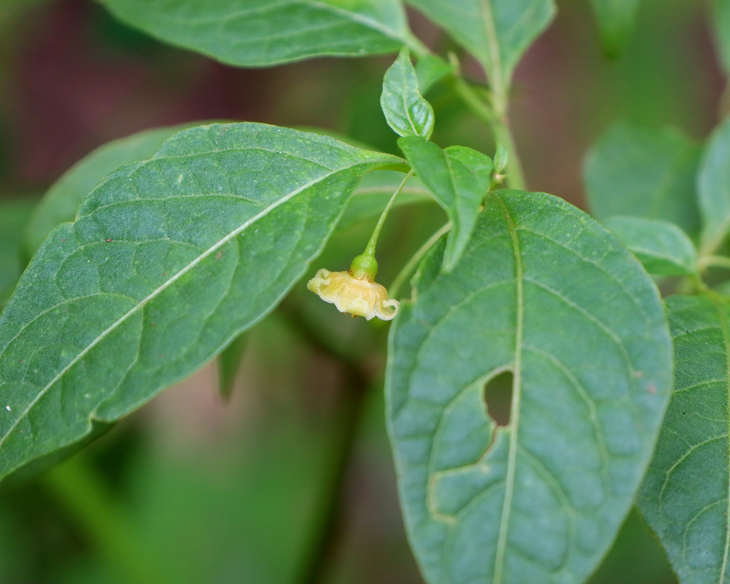
淡黄色で5裂した小さな花が吊り下がるように咲きます。

反り返った花冠の縁は、よく見ると細かくギザギザに切れ込んでいます。

晩秋には真っ赤な実が生ります。

ハダカホオズキ

2024/09/23 野川公園

ハダカホオズキ

2024/09/23 野川公園

ハダカホオズキ

2024/09/23 野川公園

ハダカホオズキ

2024/09/23 野川公園

ハダカホオズキ

2025/09/25 神代植物公園

ハダカホオズキ

2025/09/25 神代植物公園

ハダカホオズキ

2023/02/07 野川公園

ハダカホオズキ

2023/02/07 野川公園



【Youtube 山川草木図譜チャンネル】

タイトルとURLをコピーしました